ΝΕΑ ΤΩΡΑ

22:45:33
Επιστροφή στο εγχώριο πρωτάθλημα για την Ντιναμό Ζάγκρεμ, επόμενη αντίπαλος του Ολυμπιακού στους ομίλους του Champions League, αντιμετωπίζοντας  Ίντερ Ζάπρεσιτς, για τη 12η
Το twitter
3
22:45:08
Ξεσάλωσε το twitter με την υποψηφιότητα και κυρίως το. . . τρέξιμο του Άδωνι Γεωργιάδη να προλάβει τις προθεσμίες (θυμηθείτε ΕΔΩ)
22:45:04
Στήριξη, και μάλιστα με κατηγορηματικό τρόπο πρόσφερε στον Γιάννη Αναστασίου ο Γιάννης Αλαφούζος την Παρασκευή
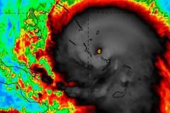
22:39:06
Το Λιμενικό Σώμα των ΗΠΑ γνωστοποίησε την Παρασκευή ότι. . . διεξάγει μια επιχείρηση έρευνας και διάσωσης αναζητώντας ένα φορτηγό πλοίο μεταφοράς εμπορευματοκιβωτίων
Αυτό το Golden Retriever κουτάβι κάνει μπάνιο… μόνο του [video]
1
22:37:26
Ποιος δεν λατρεύει τα Golden Retriever κουταβάκια. Δηλαδή όλα τα κουταβάκια είναι χαριτωμένα, αλλά κατά την ταπεινή μου άποψη τα Golden Retriever μπορούν να μονοπωλήσουν την
22:31:06
Τα έντονα παράπονά του για τη. . . γενικότερη παρουσία του Χοσέ Χολέμπας εξέφρασε ο προπονητής της Γουότφορντ, Κίκε Φλόρες, που δεν δίστασε στη συνέντευξη Τύπου να τα πει… όλα
22:28:51
Από το αεροδρόμιο στη Βουλή θα βρεθεί ο πρωθυπουργός Αλέξης Τσίπρας, αφού το Σάββατο μετά την ορκωμοσία των 300 βουλευτών θα
22:17:55
Τη νίκη με το ευρύ 30-0 σημείωσε η ομάδα πόλο Γυναικών του Ολυμπιακού στο πρώτο φιλικό παιχνίδι από την ημέρα που ξεκίνησε η προετοιμασία στα πλαίσια του 4ου ΣΕΔΥ γυναικών
ΔΕΙΤΕ την απίστευτη φωτογραφία που ανέβασε ο Πάνου Καμμένου [photo]
2
22:15:19
Λόγω του προεκλογικού σποτ με το αριστερό χέρι του Αλέξη Τσίπρα, ο Πάνος Καμμένος νόμιζε ότι. . . του έκαναν πλάκα όταν τον ενημέρωσαν ότι έσπασε το πόδι του ο γιος του
22:09:32
Κοινή έκκληση προς τη Ρωσία να σταματήσει τις αεροπορικές της επιθέσεις απηύθυναν ΗΠΑ, Γαλλία, Γερμανία, Κατάρ, Σαουδική Αραβία, Τουρκία και Βρετανία
22:02:53
Ένα σενάριο τρόμου για κάθε χώρα παρακολούθησε η πολιτική και στρατιωτική ηγεσία στο Εθνικό Κέντρο Επιχειρήσεων
22:02:08
Ο Σίλβα ζητά από τους παίκτες του να βγάλουν στην Τούμπα το πάθος και την ψυχή που. . . κατέθεσαν στο γήπεδο της Άρσεναλ και ο ίδιος θα τους δείξει πλάνα από ΠΑΟΚ την Κυριακή
22:00:11
Η υπομονή έχει και τα όρια της και στην ΑΕΚ τα ξεπέρασαν κατά πολύ. Ο Βασιλόπουλος σπαταλώντας 9. 000 ευρώ από τις
Αυτός είναι ο προσωπικός σωματοφύλακας της Ελένης Μενεγάκη [photo]
2
21:56:04
Καθημερινά και σε όλες της τις δραστηριότητες συνοδεύει την Ελένη Μενεγάκη, ο νέος της σωματοφύλακας
ΑΠΕΡΡΙΨΕ ΤΗΝ ΥΠΟΨΗΦΙΟΤΗΤΑ ΑΔΩΝΗ ΓΕΩΡΓΙΑΔΗ Η ΚΕΦΕ
1
21:50:15
Απέρριψε ομόφωνα την υποψηφιότητα του Άδωνι Γεωργιάδη η Κεντρική Εφορευτική Επιτροπή (ΚΕΦΕ) της Νέας Δημοκρατίας καθώς όπως αναφέρει διαπίστωσε ότι υποβλήθηκε εκπρόθεσμα φάκελος
21:44:39
Δηλώσεις στην κάμερα της Νόβα έκανε ο προπονητής του Ολυμπιακού,Μάρκο Σίλβα,ενόψει του κυριακάτικου ντέρμπι με τον ΠΑΟΚ στο γήπεδο της Τούμπας
21:40:35
Ο Ολυμπιακός έσπευσε να. . . κατατήσει σαφές πως η συνεργασία του με την Unicef συνεχίζεται κανονικά παρά τον καινούριο χορηγό
21:34:06
Μόνο αν έχεις πιει αυτά τα 10 ποτά, μπορείς να πεις ότι έχεις κλείσει ως "αλκοολικός" άντρας. . . Το αλκοολικός φυσικά μέσα σε εισαγωγικά
Φωτό από την τελετή ορκωμοσίας οπλιτών στο Στρατόπεδο ''ΠΑΠΑΦΛΕΣΣΑ'' Καλαμάτας
48
21:29:59
Φωτογραφίες – Ρεπορτάζ. : Βασίλειος Δημ.  ΓεωργιόπουλοςΕπιμέλεια Κειμένου : Μαριάννα Αδάμ Γκρόγκου Πραγματοποιήθηκε την Παρασκευή 2 Οκτώβριου  2015 με τη δέουσα λαμπρότητα
7154 - Η Επιστασία της Ιεράς Κοινότητος του Αγίου Όρους Άθω και οι από του έτους 1783-1928 χρηματίσταντες Eπιστάται
2
21:23:12
Ιερά Επιστασία του Αγίου Όρους Άθω (1895-96) Πρωτεπιστάτης Δωρόθεος προηγούμενος Λαυριώτης(Φωτογράφος: Θεόδωρος Βαφειάδης) Γαβριήλ μοναχός Σταυρονικητιανός, Η
Φορτώνει...
ΑΚΟΛΟΥΘΗΣΤΕ ΤΟ NEWSNOWGR.COM
ΔΗΜΟΦΙΛΕΣΤΕΡΑ ΝΕΑ
VIDEO ΝΕΑ
PHOTO ΝΕΑ
ΕΠΙΚΟΙΝΩΝΙΑ / ΣΧΕΤΙΚΑ

Επικοινωνήστε με το NewsNow: [email protected]

Σχετικά με το NewsNow